Die Weinrebe ist vom Kaukasus über das Mittelmeergebiet und Mittelfrankreich bis in das südliche Mitteleuropa verbreitet. Nördlich der Alpen hat sie nach dem Ende der letzten Kaltzeit besonders Flussauen im Flach- und Hügelland wiederbesiedelt. Die Art ist durch die Rheinregulierung, forstwirtschaftliche Bewirtschaftung von Auwäldern und gezielte Entfernung der Lianen stark zurückgegangen und vom Aussterben bedroht. In Deutschland kann man die Wildform, die Wilde Weinrebe (nicht zu verwechseln mit dem Wilden Wein), noch vor allem am Rhein (v.a. Pfalz und Rheinland) und in Franken finden. Aus der Wilden Weinrebe hat man die Edle Weinrebe gezüchtet, welche für die Produktion von Tafeltrauben und den Weinbau genutzt wird.
Heutzutage liegen mit dem Rheingau und der Bergstraße zwei Weinbaugebiete in Hessen. Dies war auch vor 47 Millionen Jahren so ähnlich. Die ältesten hessischen Weinrebengewächse wurden in der Grube Messel nachgewiesen. Dazu gehören einige Gattungen, die es heute noch gibt, darunter die Messelweinrebe die zur gleichen Gattung zählt wie die Weinrebe, hinzu kommen der Wilde Wein, Amelopsis und Cayratia. Weitere Gattungen wie Palaeovitis sind ausgestorben. Hinzu kommen bei den Funden mindestens vier Pollentypen von Weinrebengewächsen sowie Blätter. Das die Trauben damals schon geschmeckt haben zeigt das Skelett eines Urpferdchens, welches Reste hiervon im Magen hatte.
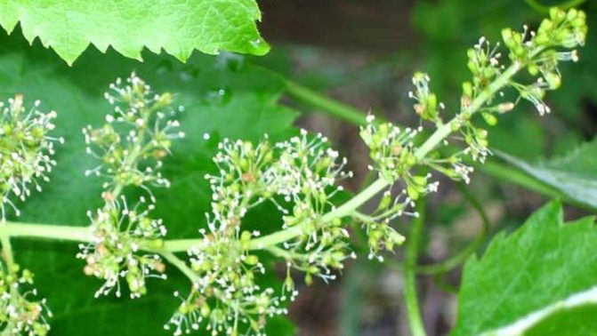
Insbesondere Käfer, Fliegen, Wespen und Bienenarten mit mittellangem Rüssel bestäuben die Weinrebe.
The common grapevine is widespread from the Caucasus via the Mediterranean region and central France to southern Central Europe. North of the Alps, after the end of the last glacial period, it has recolonized river meadows in flat and hilly areas. Due to the regulation of the Rhine, forestry management of riparian forests and the deliberate removal of lianas, the species has declined sharply and is threatened with extinction. In Germany, the wild form, the wild grapevine (not to be confused with the grape ivy), can still be found mainly along the Rhine (especially in the Palatinate and the Rhineland) and in Franconia. From the wild grapevine, the cultivated grapevine was bred, which is used for the production of table grapes and viticulture.
Today, the Rheingau and the Bergstrasse are two wine-growing regions in Hesse. This was also the case 47 million years ago. The oldest Hessian vine plants were found in the Messel Pit. These include several genera that still exist today, including the Messel grapevine, which belongs to the same genus as the grapevine, as well as the grape ivy, Amelopsis and Cayratia. Other genera such as Palaeovitis are extinct. The finds also include at least four types of pollen from grapevine plants and leaves. The skeleton of a dawn horse, which had remnants of grapes in its stomach, shows that grapes already tasted good back then.
Beetles, flies, wasps and bees with medium-length proboscises in particular pollinate the grapevine.
3D model created by Anthony J. Hayes at the Bioimaging Research Hub of Cardiff University’s School of Biosciences (Core facility RRID: SCR_022556) using methodology as described in Hayes, A.J. (2017) Production of 3D Printed Scale Models from Microscope Volume Datasets for use in STEM Education. EMS Eng Sci J. 2017, 1(1):002. Copyright Hayes, A.J. 2017.
Welterbe Grube Messel gGmbH
Rossdörfer Str. 108
64409 Messel
E-Mail: service@welterbe-grube-messel.de
Tel.: +49 (0) 6159 71759-0